
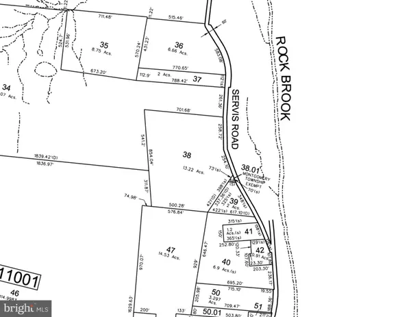
13.22 Acres Lot
13.22 Acres Lot
Key Details
Property Type Vacant Land
Sub Type Land
Listing Status Active
Purchase Type For Sale
MLS Listing ID NJSO2004900
HOA Y/N N
Annual Tax Amount $4,983
Tax Year 2024
Lot Size 13.221 Acres
Lot Dimensions 0.00 x 0.00
Property Sub-Type Land
Source BRIGHT
Property Description
The land is zoned MR, allowing for the creation of a custom home or other permitted uses under current township regulations. Buyers are encouraged to confirm zoning requirements and explore development feasibility with Montgomery Township to ensure alignment with their vision. With 13.22 acres of raw land, the property offers flexibility in design, whether you imagine a retreat-like estate surrounded by nature, a residence with generous outdoor living areas, or other approved uses that benefit from the scale of the lot.
Environmental and topographical considerations include mapped stream corridors, slope buffers, and natural features that contribute both to the property's charm and its development planning. Maps highlighting these factors are available for review. Importantly, the property is designated in FEMA Zone X, meaning it lies outside the 100-year and 500-year floodplains.
While no utilities currently serve the property, its location just 9 miles from Princeton ensures convenience to major commuting routes, including Routes 206 and 518, as well as access to shopping, dining, and Montgomery Township schools. The setting offers a unique opportunity to enjoy peace and seclusion without sacrificing proximity to local amenities.
With its scale, location, and natural beauty, this parcel presents an ideal foundation for a one-of-a-kind project. Few properties of this size remain available in Montgomery Township, making it an offering worth serious consideration. Schedule a time to walk the land and experience firsthand the possibilities this remarkable tract provides.
Location
State NJ
County Somerset
Area Montgomery Twp (21813)
Zoning SINGLE FAMILY
Exterior
Utilities Available Cable TV Available, Electric Available, Phone Available
Water Access N
Garage N
Building
Sewer No Septic System
Water Well
Schools
School District Montgomery Twp
Others
Tax ID 13-11001-00038
Ownership Fee Simple
Acceptable Financing Cash, Conventional, Negotiable
Horse Property N
Listing Terms Cash, Conventional, Negotiable
Financing Cash,Conventional,Negotiable
Special Listing Condition Standard


"My job is to find and attract mastery-based agents to the office, protect the culture, and make sure everyone is happy! "






